Housing Developments

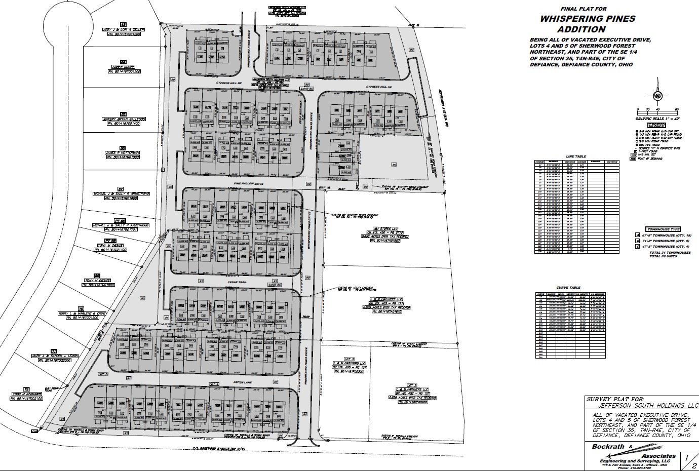
— Whispering Pines Housing Development (West Rosewood Avenue) —

Whispering Pines  IMAGE

  • Type: 31 Townhouse-style structures, totaling 90 residential units
  • Status: development stage; final Plat complete
  • Developer: Jefferson South Holdings, LLC
  • Builder: D.R. Horton America’s Builder: Whispering Pines

 Whispering Pines  IMAGE


Whispering Pines on South Jefferson Avenue 2025

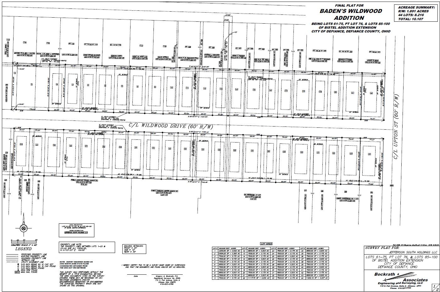
— Wildwood Drive Housing Development —

  • Type: 42 Single Family Homes on Wildwood Drive
  • Status: Development stage; Final Plat complete
  • Developer: Jefferson South Holdings, LLC
  • Builder: D.R. Horton America’s Builder
    Wildwood Drive behid Kroger 2025 Housing Development

Wildwood Ave  IMAGE

Wildwood Addition Final Plat 2025


— Preston Landing Housing Development —

Baden Siler Development IMAGE (on Ayersville Avenue Area)

  • Type: 125 Single Family Homes
  • Status: Planning stage; annexed to the City; Preliminary Site Plan
  • Developer: Jefferson South Holdings, LLC

Preston Landing prelim site plan Ayersville Ave

— Plummer’s Second Addition (LeeAnn Drive and Avenue) —

1462 Lee Ann Dr  IMAGE

Overview: A modern, energy-smart new construction community with spacious homesites, located for easy access to highways, shopping, dining, recreation, and local schools. It's offered by Allen Edwin Homes, with move-in-ready and customizable floor plans. 

Type: Single-family, detached homes—3–4 bedrooms, 1–2.5 baths, from around 1,526 sq. ft., starting at approximately $302,950.

Status: Actively selling, with both quick move-in homes and ongoing new construction available.

Developer:  Allen Edwin Homes:  Allen Edwin Homes.com

Near the Defiance Reservoir and Nature Trail, both are walkable areas

1462 Lee Ann Dr image

— Maumee River Crossing —

Maumee River Crossing  IMAGE

  • Overview: Located on the west side of Defiance, adjacent to the Tiffin River, this development is described as an "upscale residential development" for the growing area.
  • Land Availability: Around 16.52 acres recently listed and poised for subdivision and development.
  • Type: Likely upscale single-family homes or possibly more custom builds.
  • Status: Land parcel available; future development in early planning or marketing phase.
  • Developer: Dave Kuhlman Development Company, Ottawa



386 Maumee River Crossing Housing 2025Maumee River Crossing  IMAGE

— Defiance Place Apartments —

Defiance Place Apartments  IMAGE Overview:  Positioned behind the Defiance Walmart, 1850 North Clinton Street

  • Type: Multi-family housing apartments
  • Status: Final Construction Plans; breaking ground in Spring 2026, starting with Site Plan Phase 1
  • Phase 1 = 144 units
    Phase 2 = 144 units
    Phase 3 = 108 units
  • Developer: Cash Waggner & Associates

Defiance Place Apartments Rendering-Grey-Brick-240315Defiance Place Apartments 2024     Defiance Place Apartments Site Plan Phase 1











— Legacy Living Defiance —

  Legacy Living Defi  IMAGEADDRESS: 309 Latchaw Dr., Defiance, OH 43512

PHONE: 419-785-6321

WEBSITE:  defianceseniorliving.com/Living

  • Located in Defiance, OH, Legacy Living Defiance offers specialized programs of care tailored to meet the diverse needs of its residents.
  • Independent Living, Assisted Living, Memory Care, Respite Care, Senior Social Program

Legacy Living Defi  IMAGE

 — New Home Development Non-Profit —

New Home Development, a non-profit, has been around since 1991 and is funded in part by the Four County ADAMHS Board.  The non-profit owns 56 housing units across Defiance, Williams, Henry, and Fulton counties, and has built seven housing projects over the years. 

Pontiac 09 09 25Pontiac Apartments, 441 Pontiac Drive, 419-784-1075

A 6-unit apartment building built in 2000. This building is for people with disabilities, and it has a rent subsidy attached. Pontiac Apartments is a HUD 811 project.  







Upton 08 25 25Upton Heights, 1725 Upton Street

A 10-unit with interior hallways constructed in 2016. This housing is for persons who have a qualifying mental illness and who have completed a treatment program.  There is a monitor on site 24/7.  Rent is based on 30% of the tenant's income.  There are income requirements of 30-50% of the area median income.




10 20 25-Upton II, 1747 Upton Street

Currently under construction. Projected completion date of February 2028.  Upton II is a development that will create 10 affordable housing units with outside entrances and small porches for mental health consumers in Defiance, Ohio. It is made possible by partnerships with the Ohio Housing Finance Agency (OHFA), the Ohio Department of Mental Health & Addiction Services, and the Four County ADAMHS Board. There are three fully ADA-accessible units in this project.

Farmers Sugar Company Development

New Home Development owns the 15 acres adjacent to 1747 Upton Street.  Plans include building workforce housing—homeownership and possibly rental units.  At this time, there are no immediate plans. Part of this site was intended to be a sugar beet processing plant.  In 2023, New Home Development contracted to have the concrete foundation removed to enable the housing plans to proceed better.

1423 Jackson built 2024Defiance County Residential Housing (DCR)

New Home Development also manages this non-profit.  In 2024, construction on two homes on Jackson Street was completed. These homes are for persons with developmental disabilities.  The county board refers tenants to us.  DCR owns 16 homes in total.




— Infill Housing Opportunities —

Madison Avenue Infill  IMAGEIn-fill housing refers to building new homes on empty or underutilized lots within existing neighborhoods. Instead of expanding outward, these projects “fill in the gaps” in our community—turning vacant spaces into attractive, proper housing. This helps revitalize neighborhoods, makes good use of existing streets and utilities, and provides more options for people who want to live and work right here in our city.

Examples of infill homes on Madison Avenue